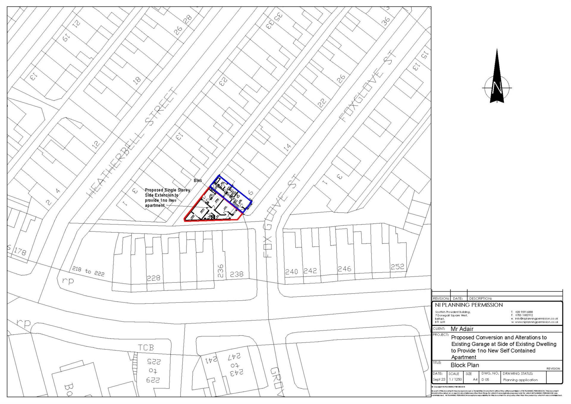
Site Adjacent To 4 Foxglove Street, Belfast

Sale agreed
OIRO £29,950
0 bedrooms
1 bathrooms
0 receptions
Leasehold

Additional information

  • Site for one bedroom apartment with FPP
  • Planning reference LA04/2024/0259/F
  • New apartment of 650 sq. feet
  • Central location with great transport links
  • Could be used as store or workshop

Description

This site is located just off the Beersbridge Road with fantastic local amenities, the Tesco Extra Castlereagh within walking distance, and it has good access into and away from Belfast City centre.

The site has full planning permission for a one bedroom ground floor apartment or alternatively the site would make for a good workshop or builders store.

Foxglove Street is located directly off the Beersbridge Road

Please note we have not tested any apparatus, fixtures, fittings, or services. Interested parties must undertake their own investigation into the working order of these items. All measurements are approximate and photographs provided for guidance only.

Property Enquiry

Office

36 Cregagh Road Belfast BT6 9EQ

Opening hours
Mon-Fri 9am - 5pm
028 9045 3319

Default alt text

Selling or renting, choose the right avenue